Más Información
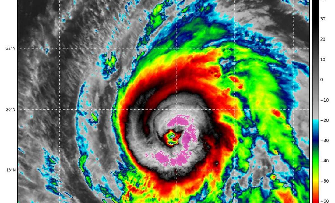
Recientemente el Huracán Kirk, se ha colocado en el radar del Centro Nacional de Huracanes de Estados Unidos (NHC), como una nueva amenaza para la costa este de Estados Unidos, así como en las Bermudas, las Antillas Mayores y las Bahamas, pues el pasado 3 de octubre alcanzó la categoría 4, aumentando el riesgo de causar condiciones peligrosas de oleaje.
De acuerdo con el NHC, actualmente este ciclón se encuentra en el centro del océano Atlántico y podría intensificarse aún más en aproximadamente un día, aunque se espera que se mantenga alejado de las costas.
Es preciso saber que este huracán no representa ningún peligro para las costas mexicanas, sin embargo, te contaremos a qué se debe su alta intensidad.
Leer también: Huracán "Kirk": ¿Cómo se determina la trayectoria del ciclón y qué tanto afectará a México?
¿Cómo se mide la intensidad de los huracanes?
La fuerza de un huracán es relevante porque ayuda a los meteorólogos a brindar una idea cercana para determinar el tipo de posibles daños que se esperan en la población y alrededores que se encuentran dentro de su trayectoria.
Para saber su fuerza se utiliza la escala Saffir-Simpson, esta medición de manera recurrente se cita durante la temporada de huracanes que corre entre el 15 de mayo y el 30 de noviembre. Fue creada en 1969 por Hebert Saffir y el entonces director del Centro Nacional de Huracanes de Estados Unidos, Robert Simpson.
Gracias a ello se puede deducir que los huracanes se dividen en 5 categorías en función de la velocidad del viento que producen:
- Categoría 1: vientos entre 119 km/h y 153 km/h.
- Categoría 2: vientos entre 154 km/h y 177 km/h.
- Categoría 3: vientos entre 178 km/h y 208 km/h
- Categoría 3: vientos entre 178 km/h y 208 km/h.
- Categoría 5: vientos de 252 km/h o superiores.
Leer también: Luna del Cazador 2024: ¿Por qué se le llama así al fenómeno astronómico de octubre?

Por ejemplo, un huracán de categoría 1 puede causar leves afectaciones a la infraestructura y la vegetación, además de inundaciones en zonas costeras, derribar arbustos y árboles, entre dos y cuatro horas antes de la llegada del huracán, así como daño serio a la infraestructura terrestre y marítima.
Al ser categoría 2 producen inundaciones en zonas costeras entre dos y cuatro horas antes de la llegada del huracán, así como un serio daño a la infraestructura terrestre y marítima.
Cuando alcanzan la categoría 3, quiere decir que puede dañar estructuras de construcciones por oleaje, derribar arbustos y árboles, además de provocar inundaciones de tres a cinco horas antes de su llegada.
De acuerdo con el NHC los ciclones categoría 4, como es el caso de Kirk, pueden llegar a dañar estructuras muy fuertes, derribar árboles grandes, arbustos y señalizaciones, además de generar inundaciones de hasta tres metros de altura, de tres a cinco horas antes de que se presente el huracán.
Cuando un huracán llega a la categoría 5, se puede deducir que “se producirán daños catastróficos” pérdidas totales en construcciones ubicadas hasta 500 metros de la costa, así como falla del suministro de electricidad durante varias semanas.
Con información de Abdiel Sepúlveda
También te interesará:
Pensión de mujeres de 60 a 64 años: Ubica aquí tu módulo de registro
¿Cuáles son los beneficios de la dieta de la cartera? Harvard lo explica
Así serán los gatos en el futuro, según la ciencia
Únete a nuestro canal ¡EL UNIVERSAL ya está en Whatsapp!, desde tu dispositivo móvil entérate de las noticias más relevantes del día, artículos de opinión, entretenimiento, tendencias y más.
dcs
Noticias según tus intereses
[Publicidad]
[Publicidad]











