
Este lugar, uno de los más afectados por los últimos meteoros, se asienta sobre humedales. Constructoras han levantado ahí la zona más exclusiva del histórico centro turístico

Este lugar, uno de los más afectados por los últimos meteoros, se asienta sobre humedales. Constructoras han levantado ahí la zona más exclusiva del histórico centro turístico

El capitán de la embarcación, Jorge Fernando Galaviz Fuentes, presente en Londres, y su tripulación fueron distinguidos en la sede del organismo, en el mayor reconocimiento a la valentía en la industria marítima

El gobierno del entonces presidente Andrés Manuel López Obrador acordó con la administración del presidente chino la adquisición de enseres domésticos
Esto, tras presentarse una queja ante el Instituto

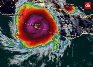
Lorenzo recuerda lo que vivió con Otis y se le nublan los ojos; siguen de luto por las 51 muertes

Cándido Trinidad perdió a su familia cuando la corriente se llevó a su esposa, hijos y arrastró toda su esperanza aquella noche del 24 de octubre del 2023

Cuando el huracán arrasó con el puerto también se llevó a 31 personas que continúan como desaparecidas; Abigail estaba en el yate Litos, desde entonces su familia no sabe de ella

La directora de la institución reconoció el trabajo de quienes no frenaron la entrega de mensajería y paquetería por el fenómeno meteorológico

Sobrevivientes del huracán más destructivo que ha pasado por Acapulco hablan de cómo se transformó su vida tras este fenómeno

El huracán pegó en el puerto con categoría 5 la noche del 24 de octubre de 2024