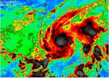
Jessica Luna Lagunes, jefa de Hidrometeorología de la Conagua, advirtió que es necesario estar monitoreando los ríos debido a que el huracán “Katia” provocará intensas lluvias y con ello el crecimiento de los caudales

La Coordinación Nacional de Protección Civil emitió esta noche una serie de recomendaciones ante la fuerza que muestra el fenómeno meteorológico frente a las cosas de Veracruz

La Comisión Nacional del Agua alertó a la población por los efectos del huracán Katia y el Frente Frío Número 2; se prevén tormentas torrenciales en Puebla y Veracruz
Pedro Granados, coordinador general de Protección Civil, advirtió a las familias que habitan en las zonas consideradas de riesgo “vayan considerando la posibilidad de moverse, con familiares o conocidos”

Ante las intensas lluvias que deja el huracán, también se activó el Plan DN-III y se inició la evacuación de personas que habitan en laderas de alto riesgo y sobre margenes del río

“Katia” se suma al recién formado huracán “José” y a “Irma” que avanzan sobre el Atlántico



