
Más Información
A punto de cumplirse un año del paso devastador del huracán “Otis” por el puerto de Acapulco, Max pone a disposición de sus suscriptores este especial producido por CNN.
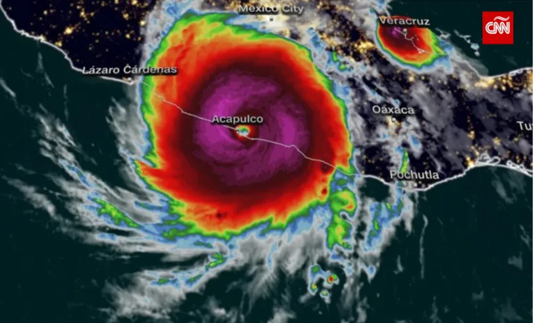
“Otis” fue registrado como el ciclón tropical número 15 de la temporada ciclónica del Pacífico en 2023 y pasó a la historia por su potencia y poder destructivo. El especial “Acapulco, un año después de Otis” es un reporte de los testimonios que recogieron Gabriela Frías y Mario González días después de que los vientos de 270 kilómetros arrancaran todo lo que encontraban a su paso; y esas mismas voces se escucharon a través de los micrófonos de CNN un año después de la tragedia.
Se trata de seis entrevistas de sobrevivientes que experimentaron la furia del huracán que tocó tierra la madrugada del martes 25 de octubre de 2023 y que, en sólo ocho horas, devastó a la bahía más bonita del mundo.
“Acapulco, un año después de Otis” nos acerca con Roberto Vázquez, director del hotel Presidente, lugar emblemático del puerto que después de Otis estuvo abierto. También se escucha a Alberto Lara de los Santos, un reparador de embarcaciones que perdió casi todo su patrimonio.
Olimpo Pineda Casas, director de la Orquesta Sinfónica Comunitaria Renacimiento, habla de cómo este proyecto sobrevive en uno de los barrios más peligrosos de Acapulco y cómo esta orquesta de niños y jóvenes ha sido un recurso para contrarrestar el estrés generado por este fenómeno a través de la música. Hablan de igual manera la señora Agustina, indígena de ascendencia mixteca que vive en Acapulco y quien esa noche se quedó sin casa, y la señora Rosa, mamá de Kevin y Betsabé, que habló de la ayuda que recibieron ella y su familia por parte del gobierno y de la pérdida de la fuente de empleo que enfrentó su esposo.
“Necesitamos al turismo”, dice Alejandro Balanzar, quien es clavadista de la emblemática “Quebrada”, lugar en donde el espectáculo de clavados ejecutados por residentes del lugar se ha convertido en un atractivo del lugar. El especial “Acapulco, un año después de Otis” se estrenó hace unos días a través de CNN y está disponible a través de Max. Dónde Ver: Max
Noticias según tus intereses
ViveUSA
[Publicidad]
Interactivos


Carpetazo, a indagatorias contra Alito y Calderón

La simulación perfecta

Investigado por lavado del narco defrauda en Oaxaca

SFP da “carpetazo” al 92% de denuncias contra superdelegados

Jueces sin castigo: Las fallas de un sistema negligente

Aún está en obra y ya hay plagas y grietas en la nueva sede del Archivo General Agrario


















