
Claudia Sheinbaum muestra por primera vez cambios en el despacho presidencial; se trata de tres nuevos cuadros
Ahora se le puso el toque femenino, agregando a tres heroínas de la patria

Ahora se le puso el toque femenino, agregando a tres heroínas de la patria

Se contará con la participación de más de 75 recintos extendiendo su horario y montando actividades tanto gratis como a bajo costo
Este fenómeno se debe a la acción de las fallas geológicas locales ubicadas en el subsuelo de la ciudad

Hoy 20 de noviembre se realiza el desfile cívico militar en conmemoración del 114 aniversario de la Revolución Mexicana; entérate de las últimas noticias

Hasta el momento, Protección civil estatal no ha comunicado sobre posibles lesionados o daños en infraestructuras

En el material audiovisual se pueden ver como la gente se agacha asustada para tratar de evitar los disparos que impactaron en mesas y sillas

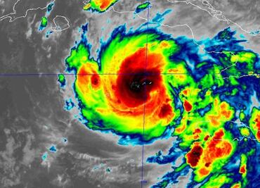
Así lo informó el Meteorológico Nacional, además pidió continuar atentos a la información oficial

Desde exposiciones gratis hasta orquestas filarmónicas en 100 pesos te mostramos

Este miércoles el servicio Sismológico Nacional informó de un sismo de magnitud 4.0 en Oaxaca

Presenta vientos máximos de 155 km/h, rachas de 195 hm/h y desplazamiento hacia el oeste a 31 km/h